Bauleitplanung
Die Bauleitplanung regelt den Planungswillen der Gemeinde. Man unterscheidet dabei grundsätzlich in die "vorbereitende Bauleitplanung“ (Flächennutzungsplan) und die "verbindliche Bauleitplanung“(Bebauungsplan).
Amtliche Bekanntmachung: Bauleitplanung der Gemeinde Gorxheimertal
Bebauungsplan „Friedhofstraße“
hier: Beschluss über die Aufstellung gemäß § 2 Abs. 1 BauGB i.V.m. § 13a BauGB; Beschluss über die Durchführung der Beteiligung der Öffentlichkeit gemäß § 3 Abs. 2 BauGB und der berührten Behörden und sonstiger Träger öffentlicher Belange gemäß § 4 Abs. 2 BauGB
Die Gemeindevertretung der Gemeinde Gorxheimertal hat in ihrer öffentlichen Sitzung am 24.02.2026 die Aufstellung des Bebauungsplans „Friedhofstraße“ gemäß § 2 Abs. 1 BauGB i.V.m. § 13a BauGB beschlossen. Zudem wurde beschlossen, diesen gemäß § 3 Abs. 2 im Internet zu veröffentlichen und zusätzlich öffentlich auszulegen.
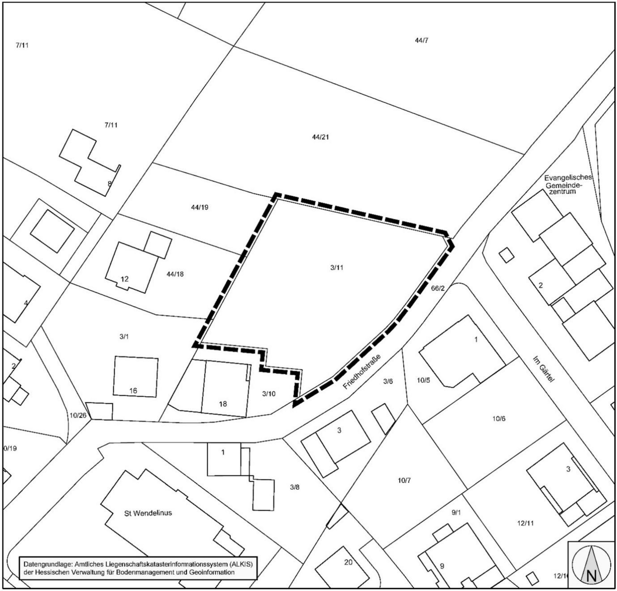
Der Geltungsbereich des Bebauungsplans befindet sich im Norden des Ortsteils Unter-Flockenbach der Gemeinde Gorxheimertal und besitzt eine Größe von 1.570 m² (ca. 0,16 ha). Der Geltungsbereich umfasst das Flurstück 3/11 der Flur 1 der Gemarkung Unter-Flockenbach.
Der Geltungsbereich ist auf dem beigefügten Lageplan dargestellt.
Ziele und Zwecke der Planung
Bei dem Plangebiet handelt es sich um ein früheres Gärtnereigelände im Norden des Ortsteils Unter-Flockenbach, welches derzeit brach liegt. Das Gelände ist derzeit unbebaut und besitzt keine Nutzung. Anlass der Planung ist das Interesse des Grundstückeigentümers, innerhalb des Plangebietes Wohnnutzung unterzubringen. Insgesamt ist die Errichtung von vier Einzelhäusern mit jeweils maximal zwei Vollgeschossen geplant. Die Zahl der Wohneinheiten soll auf zwei Wohneinheiten pro Gebäude begrenzt werden. Die innere Erschließung des Plangebietes soll über eine private Erschließungsstraße erfolgen, die im Bebauungsplan entsprechend festzusetzen ist. Durch das Bauen in einem gewachsenen Quartier kann für die äußere Erschließung des Plangebietes die bereits vorhandene städtebauliche Infrastruktur genutzt werden.
Mit dem vorliegenden Bebauungsplan „Friedhofstraße“ sollen die planungsrechtlichen Bedingungen für das Vorhaben geschaffen werden. Für das Plangebiet existiert bislang kein Bebauungsplan.
Die Aufstellung des Bebauungsplans „Friedhofstraße“ erfolgt im beschleunigten Verfahren nach § 13a BauGB – Bebauungspläne der Innenentwicklung. Die Anwendungsvoraussetzungen für das beschleunigte Verfahren nach § 13a BauGB liegen vor, da der Bebauungsplan der Innenentwicklung dient und die maximal zulässige Grundfläche innerhalb des Plangebietes aufgrund der Größe des Geltungsbereiches von 1.570 m² weniger als 20.000 m² beträgt.
Im beschleunigten Verfahren wird von der Umweltprüfung nach § 2 Abs. 4 BauGB, von dem Umweltbericht nach § 2a BauGB, von der Angabe nach § 3 Abs. 2 Satz 1 BauGB, welche Arten umweltbezogener Informationen verfügbar sind, sowie von der zusammenfassenden Erklärung nach § 10a Absatz 1 BauGB abgesehen. § 4c BauGB ist nicht anzuwenden.
Frühzeitige Unterrichtung und Öffentlichkeitsbeteiligung:
Nach § 13a Abs. 3 Nr. 2 BauGB kann sich die Öffentlichkeit über die allgemeinen Ziele und Zwecke sowie die wesentlichen Auswirkungen der Planung in der Zeit
vom 02.03.2026 bis einschließlich 09.03.2026
unterrichten und zur Planung äußern.
Im Anschluss an die frühzeitige Unterrichtung wird nach § 13a BauGB in Verbindung mit § 3 Abs. 2 BauGB die Beteiligung der Öffentlichkeit in der Zeit
vom 10.03.2026 bis einschließlich 10.04.2026
durchgeführt.
Für beide Beteiligungszeiträume wird der Entwurf des Bebauungsplans „Friedhofstraße“ mit Begründung und Bodengutachten wie folgt veröffentlicht:
- Auf der Internetseite der Gemeinde Gorxheimertal www.gorxheimertal.de unter Home → Umwelt, Bauen & Wohnen → Bauen → Bauleitplanung ((https://www.gorxheimertal.de/umwelt-bauen-wohnen/bauen/bauleitplanung)
- Auf der Internetseite der Planergruppe ROB www.planergruppe-rob.de unter „Beteiligungsverfahren“ (http://www.planergruppe-rob.de/beteiligungsverfahren/)
- In dem amtlichen Bekanntmachungsorgan der Weinheimer Nachrichten/ Odenwälder Zeitung
Auf die vorgenannte Internetseite der Gemeinde Gorxheimertal wird auch im Zentralen Internetportal für Bauleitplanungen in Hessen (https://bauleitplanung.hessen.de) verwiesen.
Zusätzlich zur Veröffentlichung im Internet werden die genannten Unterlagen gem. § 3 Abs. 2 Satz 2 BauGB im Rathaus Gorxheimertal, Fachbereich Bauen und Liegenschaften, Siedlungsstraße 35, Raum 22, während der Dienststunden (Montag bis Donnerstag von 8.00 – 15.30 Uhr, und Freitag von 7.30 bis 12.00 Uhr) zu jedermanns Einsichtnahme öffentlich ausgelegt. Zur Erörterung des Bebauungsplans steht Andreas Michael unter 06201/294916 oder andreas.michael(@)gorxheimertal.de
Es wird darauf hingewiesen, dass Stellungnahmen während der Dauer der Veröffentlichungsfrist abgegeben werden können. Stellungnahmen sollen elektronisch an teschner(@)planergruppe-rob.de abgegeben werden. Bei Bedarf können Stellungnahmen aber auch auf anderem Weg abgegeben werden.
Über die abgegebenen Stellungnahmen entscheidet die Gemeindevertretung der Gemeinde Gorxheimertal in öffentlicher Sitzung. Da das Ergebnis der Behandlung der Stellungnahmen mitgeteilt wird, ist die Angabe der Emailadresse oder/und der Anschrift des Verfassers zweckmäßig.
Es wird darauf hingewiesen, dass nicht fristgerecht abgegebene Stellungnahmen bei der Beschlussfassung über den Bebauungsplan unberücksichtigt bleiben können.
Datenschutzhinweise in Bezug auf die Abgabe von Stellungnahmen
Es wird darauf hingewiesen, dass Personen, welche eine Stellungnahme einreichen, mit der Abgabe der Stellungnahme der Verarbeitung aller von ihnen angegebenen personenbezogenen Daten - dazu zählen insbesondere Vor- und Nachname, Anschrift, Telefonnummer, Mobilfunknummer, E-Mail-Adresse - zustimmen. Gemäß Artikel 6 Abs. 1c und 1e der Datenschutz-Grundverordnung (DSGVO) werden die Daten im Rahmen des Bauleitplanverfahrens von der Gemeinde und dem von ihr mit der Auswertung der Stellungnahmen beauftragten Büro Planergruppe ROB GmbH, Am Kronberger Hang 3, 65824 Schwalbach am Taunus für die gesetzlich bestimmten Dokumentationspflichten und für die Informationspflicht gegenüber den betroffenen Personen genutzt. Die personenbezogenen Daten werden gelöscht, sobald sie für das Verfahren nicht mehr benötigt werden und keine gesetzlichen Aufbewahrungsfristen bestehen. Nach Art. 15, 16, 17 und 18 DSGVO stehen der betreffenden Person folgende Rechte zu: Auskunftsrecht, Recht auf Berichtigung, Vervollständigung, Löschung, Einschränkung der Verarbeitung, datenschutzrechtliche Beschwerde bei der zuständigen Datenschutzaufsichtsbehörde einlegen: Zuständig ist der Hessische Beauftragte für Datenschutz und Informationsfreiheit, Gustav-Stresemann-Ring 1, Postfach 3163, 65021 Wiesbaden, Tel. 0611/1408-0, Mail: poststelle(@)datenschutz.hessen.de.
Gorxheimertal, den 25.02.2026
Bereitstellungsdatum: 25.02.2026
Ein Flächennutzungsplan wird in der Regel über das gesamte Gemeindegebiet erlassen. Er regelt grundsätzlich nur, wie die Flächen in der Gemeinde genutzt werden bzw. in Zukunft genutzt werden sollen. Dabei werden lediglich Unterscheidungen getroffen zwischen Bauflächen, Waldflächen, Ackerflächen, etc. Der Flächennutzungsplan kann im Bürger-GIS des Kreis Bergstraße abgerufen werden.
Ein Bebauungsplan regelt für ein bestimmtes Gebiet, üblicherweise für Bauflächen, wie dieses zu bebauen ist. Er besteht in der Regel aus einer Planzeichnung, den textlichen Festsetzungen sowie einer Begründung. Der Bebauungsplan wird von der Gemeindevertretung als Satzung beschlossen. Ein Abruf der Bebauungspläne kann über das Bürger-GIS des Kreis Bergstraße erfolgen.
Über das Bürger-GIS des Kreis Bergstraße können der Flächennutzungsplan sowie die Bebauungspläne der Gemeinde Gorxheimertal abgerufen werden.
Das Geographische Informations-System (GIS) bedeutet, dass man Daten und Informationen die einen Raumbezug haben, in einer Karte entsprechend grafisch darstellen kann. Man verknüpft dabei Fachinformationen mit einer entsprechenden Kartengrundlage. Viele der heutigen erstellten Daten liegen bereits in digitaler Form vor. Die Gemeinde Gorxheimertal hat ein internes GIS im Einsatz, in dem für das Gorxheimertal die Fachdaten wie Bebauungspläne, Kanalleitungen, Bodenrichtwerte, Jagdkataster, Straßenbeleuchtung etc. auf der Flurkarte der Gemeinde Gorxheimertal an der räumlich richtigen Stelle dargestellt sind.
Der Kreis-Bergstraße hat für alle Bürger ein frei zugängliches GIS - Bürger-GIS - installiert. Darin sind alle, für den Kreis-Bergstraße, verfügbaren grafischen Informationen, zu verschiedenen Fachthemen hinterlegt. So können neben der Flurkarte beispielsweise auch die Bebauungspläne der jeweiligen Kommunen abgerufen werden, Naturschutz- und Vogelschutzgebiete, die Flächennutzungspläne, die Trinkwasserqualitäten, Informationen zu Hotels und Gaststätten, Naturparkplätze, Jugendzeltplätze, Nibelungensteig sowie ein Sozialatlas sind ebenfalls dargestellt.